 2/22 長シゲサさん(タタミ) チヌ〜47cm
|  2/21 (近海アジ釣り) アジ30〜40cm5〜20匹 サバ
|  2/21 (近海アジ釣り) アジ30〜40cm5〜20匹 サバ
|
 2/21 (近海アジ釣り) アジ30〜40cm5〜20匹 サバ
|  2/21 (海士島東) チヌ ウマズラ ツバス
|  2/21 富島さん(タタミ) チヌ〜48cm ツバス
|
 2/21 石原さん(タタミ) チヌ〜47cm
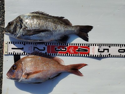
|  2/21 岡崎さん(海士島西) グレ43cm チヌ
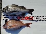
|  2/21 谷本さん(ゴロタ) チヌ 真鯛
|
 2/15 長シゲさん(タタミ) チヌ〜42cm
|  2/15 岡崎さん(海士島東) チヌ 寒鯛 ツバス
|  2/14 (近海アジ釣り) アジ30〜42cm 1〜6匹
|
 2/14安部シゲさん(海士島東) チヌ〜45cm
|  2/14 (タタミ) チヌ〜48cm
| |