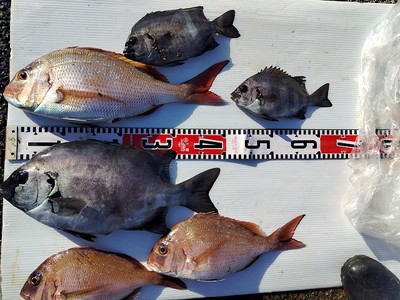
 11/30 やべっち(タタミ) チヌ43cm サンバソウ
|  11/30 愛釣会あべさん チヌ43cm 真鯛(海士島東)
|  11/30 坂本さん(海士島東) 真鯛43cm チヌ
|
 11/30 富島さん(ゴロタ) チヌ42cm サンバソウ
|  11/24 長シゲさん(ゴロタ) 真鯛50cm チヌ
|  11/24 田島さん(タタミ) 真鯛62cm サンバソウ チヌ
|
 11/24 坂本さん(海士島東) チヌ40cm 真鯛
|  11/24 安部さん(ヒーゴ) ヒラマサ サンバソウ チヌ
|  11/24 西村さん(小島西) スズキ62cm (ジグ)
|
 11/24 中林さん(小島西)夜 真鯛 チヌ アコウ
|  11/24 (ヒーゴ)夜 石鯛 真鯛 チヌ
|  11/23 長シゲさん(ゴロタ) 真鯛63cm 石鯛 チヌ
|
 11/23 こばっち(ゴロタ) チヌ46cm
|  11/23 定久さん(海士島東) ヒラメ75cm
|  11/23 小杉さん(ヒーゴ) ヒラマサ62cm サンバソウ グレ
|
 11/23 白波瀬くん(沖ボテ) ヒラメ65cm ハマチ(ジグ)
|  11/16 岡崎さん(黒岩) 真鯛86cm チヌ
|  11/16 ぶるさん(海士島東) 真鯛40cm 石鯛40cm
|
 11/16 西尾さん(ヒーゴ)夜 真鯛60cm 石鯛40cm チヌ
|  11/16 富島さん(小島西)夜 チヌ45cm
|  11/16 (小島東)夜 アオリイカ
|
 11/13 安部3号さん(タタミ) チヌ40cm 24匹
|  11/13 安部2号さん(タタミ) チヌ42cm
|  11/13 安部1号さん(タタミ) サンバソウ32cm
|
 11/13 (海士島東) チヌ40cm ウマズラ
|  11/6 竹久さん(小島東) 真鯛 チヌ ウマズラ サンバ
|  11/6 近藤さん(小島西)夜 アオリイカ トータル20kg
|
 11/6 (ヒーゴ)夜 チヌ アオリイカ
|  11/5 安部さん(ゴロタ) チヌ45cm 真鯛 サンバソウ
|  11/5 青木さん(海士島東) チヌ45cm 真鯛
|